Header

Black-spot Limonia Limonia nigropunctata


Quite a distinctive cranefly, and judging from the records on NBN Atlas, not common round here (although given how easily I've found it, maybe not all that uncommon).

Limonia nigropunctata Limonia nigropunctata Limonia nigropunctata
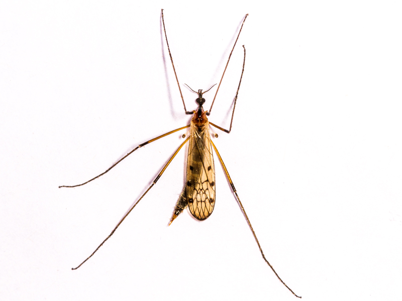
Black-spot Limonia Limonia nigropunctata showing wing, Wendling Beck Environment Project (Norfolk, UK), 14th May 2022


Limonia nigropunctata Limonia nigropunctata
Black-spot Limonia Limonia nigropunctata, Wendling Beck Environment Project (Norfolk, UK), 29th April 2023


This one was at a different site within the project.

Limonia nigropunctata Limonia nigropunctata
Black-spot Limonia Limonia nigropunctata, Wendling Beck Environment Project (Norfolk, UK), 8th May 2023


Limonia nigropunctata Limonia nigropunctata
Black-spot Limonia Limonia nigropunctata, Wendling Beck Environment Project (Norfolk, UK), 8th May 2023