Header

Green Nettle Weevil Phyllobius pomaceus

It took me a while to get to grips with some of the differences between the Phyllobius species and upon reviewing my old records I've reidentified some and had to bin others where I have neither a specimen nor a good enough quality photo.


This was swept from nettles.

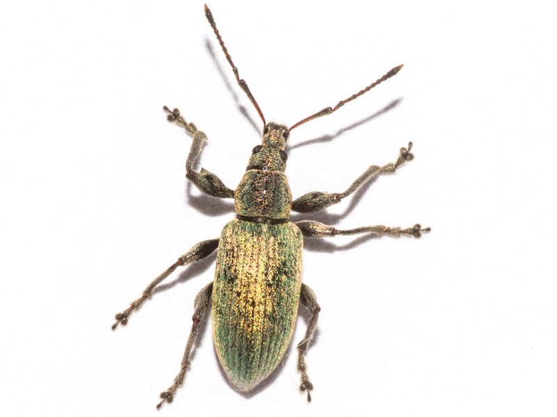
Phyllobius pomaceus Phyllobius pomaceus Phyllobius pomaceus Phyllobius pomaceus Phyllobius pomaceus Phyllobius pomaceus
Green Nettle Weevil Phyllobius pomaceus, Hoe Rough (Norfolk, UK), 20th June 2025


Phyllobius pomaceus Phyllobius pomaceus
Green Nettle Weevil Phyllobius pomaceus, Gunton Lane, New Costessey (Norfolk, UK), 28th May 2016


This was one of two found on nettles.

Phyllobius pomaceus Phyllobius pomaceus Phyllobius pomaceus
Green Nettle Weevil Phyllobius pomaceus, North Elmham Cathedral Meadows (Norfolk, UK), 8th May 2020


This was also found on nettles. I used to sometimes find it quite difficult to decide on the shape and position of the scrobes to determine between Phyllobius and Polydrusus/Pachyrhinus, and when I reviewed all my old records in 2026 I half-expected to find several that I had assigned to the wrong genus. In fact, although several of my old Phyllobius records were assigned to the wrong species, I thought I'd got away without having made any errors in genus. Then I found this one which I had not been able to determine, but which I had thought was Polydrusus. It had seemed to key to Polydrusus cervinus but I realised that could not be correct (several things didn't sit right, not least the size which far too big). I'd checked its genitalia in case that helped to resolve it but it proved to be female and I have no references that deal with any differences in female genitalia. As soon as I looked at my photos in 2026, with four more years' experience and having just reviewed all my Phyllobius records and specimens, I realised it was Phyllobius pomaceus not Polydrusus, even before checking my notes to find that it was large and on nettles. In a way it's not surprising that it should be pomaceus (or glaucus) that I struggled to assign to genus as these are the species where the scrobe is more elongate than on other Phyllobius species.

Phyllobius pomaceus Phyllobius pomaceus Phyllobius pomaceus Phyllobius pomaceus Phyllobius pomaceus Phyllobius pomaceus Phyllobius pomaceus
female Green Nettle Weevil Phyllobius pomaceus showing spermatheca, Wendling Beck Environment Project (Norfolk, UK), 14th May 2022


This was potted off Meadowsweet.

Phyllobius pomaceus Phyllobius pomaceus Phyllobius pomaceus Phyllobius pomaceus Phyllobius pomaceus Phyllobius pomaceus Phyllobius pomaceus Phyllobius pomaceus
Green Nettle Weevil Phyllobius pomaceus, Hoe Rough (Norfolk, UK), 20th June 2025


Phyllobius pomaceus Phyllobius pomaceus Phyllobius pomaceus
Green Nettle Weevil Phyllobius pomaceus, near Bittering (Norfolk, UK), 19th May 2016


I didn't succeed in potting this so only have this photo to go on. I did manage to pot a Phyllobius argentatus from the same bluebells so imagined this might be the same species, but I had my doubts and left it unidentified. Looking back at the photos I think there is enough visible to identify it as pomaceus - the rostrum is long as in pomaceus/glaucus and the elytral scales, though far from clear, appear to be elongate. I think the length of the antennal segments rule out glaucus.

Phyllobius pomaceus
Green Nettle Weevil Phyllobius pomaceus, Wendling Beck Environment Project (Norfolk, UK), 30th April 2022


Phyllobius pomaceus Phyllobius pomaceus
Green Nettle Weevil Phyllobius pomaceus, North Elmham railway below the Cathedral Meadows (Norfolk, UK), 15th June 2018


The next two were two of five found in the same area. I omitted to note down what they were on, but I have a recollection that they were on nettles.

Phyllobius pomaceus Phyllobius pomaceus Phyllobius pomaceus Phyllobius pomaceus
Green Nettle Weevil Phyllobius pomaceus, North Elmham Cathedral Meadows (Norfolk, UK), 15th June 2018


Phyllobius pomaceus
second Green Nettle Weevil Phyllobius pomaceus, North Elmham Cathedral Meadows (Norfolk, UK), 15th June 2018


I didn't record what I potted this off but I also recorded Common Nettle-taps Anthophila fabriciana at the same spot so there were certainly nettles in the vicinity.

Phyllobius pomaceus Phyllobius pomaceus Phyllobius pomaceus
Green Nettle Weevil Phyllobius pomaceus, Rawhall gravel pits, Bittering (Norfolk, UK), 1st June 2014