Header

Syntomus foveatus


Apparently a very common species. This one was found in a pitfall trap. I initially keyed it using Hackston as I've used his key to Carabidae genera so much I find it really quick and easy. Having said that, I did have one or two minor issues so checked using Duff. One related to whether or not there was a waist between the pronotum and elytra. I'd argue there was a clear constriction upon which the scutellum was (mostly) situated, but also this scutellum did extend back so that its tip was between the bases of the elytra. So this couplet was a little ambiguous. Duff focuses solely on the position of the scutellum here without worrying about the presence or absence of a constriction, and so it is a little less ambiguous that the fact that the scutellum projected between the bases of the elytra was the critical feature here.

I was also slightly perplexed at the final couplet separating foveatus from Syntomus truncatellus. Most characters seemed to favour foveatus but I wasn't convinced about the description of the elytral microsculpture: "microscopic sculpture of the elytra not granulate and consisting of an equal-sided mesh." for truncatellus and "microscopic sculpture of an elongate mesh with the area inside each mesh raised." for foveatus. I didn't have a problem describing the microsculpture I could see as granulate (or with the area inside each mesh raised), but the word "elongate" threw me slightly - I really wouldn't have described it as elongate. I was hoping to see a nice diagram of the microsculpture when I turned to Duff but he doesn't worry about microsculpture at all and relies on just two characters which are also included (or at least alluded to) in Hackston: the discal punctures being foveate and the legs being blackish. On both these characters it was clearly foveatus.

Update: shortly after trapping this I found a Syntomus tuncatellus - the difference in the discal punctures (hard to see and not foveate) and elytral microsculpture (flatter and therefore less conspicuous) were quite obvious.

Syntomus foveatus Syntomus foveatus Syntomus foveatus Syntomus foveatus Syntomus foveatus Syntomus foveatus Syntomus foveatus Syntomus foveatus
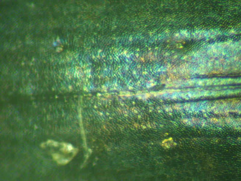
Syntomus foveatus showing pronotum, scutellum, base of antenna, hind tarsi, tip of elytron, and base of elytron (with foveate dorsal puncture towards right hand end), Wendling Beck Project (Norfolk, UK), 4th-5th April 2025


Conveniently I examined the next one just after examining a Syntomus truncatellus from the same suction sample. With recent experience of both species - albeit only singles of each - the ID of this one was very straightforward.

Syntomus foveatus Syntomus foveatus Syntomus foveatus
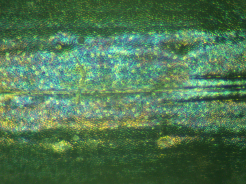
Syntomus foveatus showing elytra and pronotum, Wendling Beck Project (Norfolk, UK), 17th April 2025


The next five were caught together by suction sampling at the same place as the ones above. The ID was straightforward until I got to the last one and it was blue! Under the microscope there was a very obvious metallic slightly irridescent blue sheen over much (not all) of the elytra. At first I thought the dorsal punctures were less foveate but on closer insepction they were clearly foveate, and I couldn't make out any differences in the microsculpture or bare parts colouration to suggest that it was anything other than foveatus. There is no suggestion of the blue colour in the photo taken of it alive. The blue one is shown first in the sets of photos below, and again together with the other four after the others.

Syntomus foveatus Syntomus foveatus Syntomus foveatus
Syntomus foveatus showing elytra, Wendling Beck Project (Norfolk, UK), 30th July 2025


Syntomus foveatus Syntomus foveatus Syntomus foveatus
second Syntomus foveatus showing elytra, Wendling Beck Project (Norfolk, UK), 30th July 2025


Syntomus foveatus Syntomus foveatus
third Syntomus foveatus showing elytra, Wendling Beck Project (Norfolk, UK), 30th July 2025


Syntomus foveatus Syntomus foveatus
fourth Syntomus foveatus showing elytra, Wendling Beck Project (Norfolk, UK), 30th July 2025


Syntomus foveatus Syntomus foveatus
fifth Syntomus foveatus showing elytra, Wendling Beck Project (Norfolk, UK), 30th July 2025


Syntomus foveatus
the same five Syntomus foveatus showing elytra, Wendling Beck Project (Norfolk, UK), 30th July 2025


Another three found together by suction. These were found with two Syntomus truncatellus and a Microlestes minutulus so a good opportunity to compare the three similar species.

Syntomus foveatus Syntomus foveatus
Syntomus foveatus showing elytra, Wendling Beck Project (Norfolk, UK), 26th September 2025


Syntomus foveatus Syntomus foveatus Syntomus foveatus
second Syntomus foveatus showing elytra and side-by-side with Syntomus truncatellus (foveatus on left, truncatellus on right), Wendling Beck Project (Norfolk, UK), 26th September 2025


Syntomus foveatus
third Syntomus foveatus, Wendling Beck Project (Norfolk, UK), 26th September 2025