Header

Syrphoctonus tarsatorius

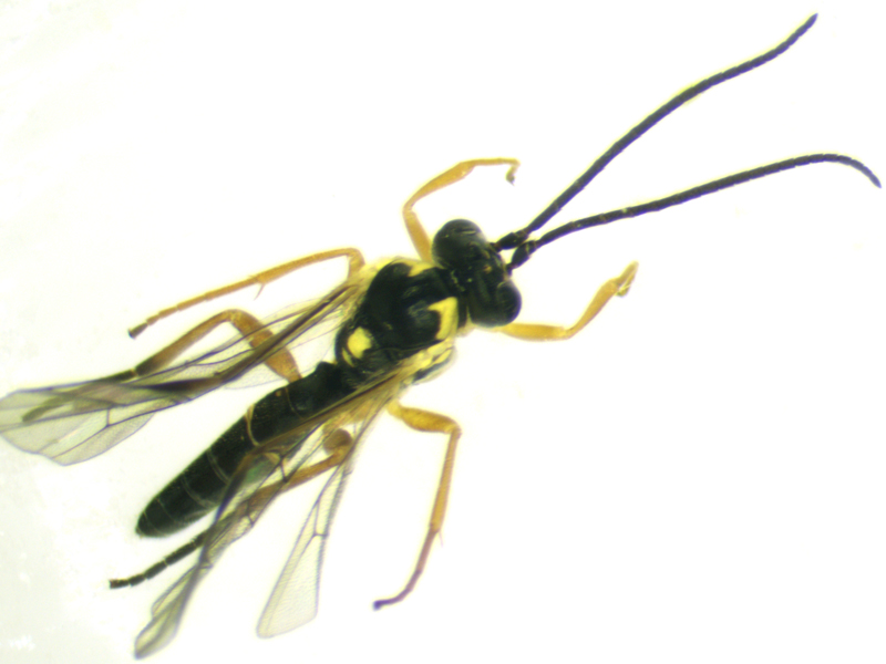
I netted this flying around a Walnut tree. I started off the ID by picture matching with help from AI, resulting in a plausible match to Syrphoctonus tarsatorius. I then turned to Klopfstein's 2014 Revision of the Western Palaearctic Diplazontinae and initially tried back-keying it from tarsatorius. Certainly if it was Syrphoctonus then tarsatorius was correct, but I had a bit more of a struggle confirming I'd got the correct genus. Although I wasn't entirely sure what I was looking for, I couldn't initially see the tyloids on the antennae which should be present on this genus. I struggled seeing some of the other detail needed in the genus key (e.g. position of spiracles on third tergite) but as far as I could tell the no-tyloids option led to a dead-end. After a bit more research about what tyloids should look like I had another look at the antennae in side view and could just make out a groove going along the sides of the segments which I *think* must be tyloids, and in that case I think Syrphoctonus is correct.

Syrphoctonus tarsatorius Syrphoctonus tarsatorius Syrphoctonus tarsatorius Syrphoctonus tarsatorius Syrphoctonus tarsatorius Syrphoctonus tarsatorius Syrphoctonus tarsatorius Syrphoctonus tarsatorius Syrphoctonus tarsatorius Syrphoctonus tarsatorius Syrphoctonus tarsatorius
male Syrphoctonus tarsatorius showing clypeus, antennal tyloids (I think) and wings (Norfolk, UK), 30th April 2023